Til forside
 
Forrige art

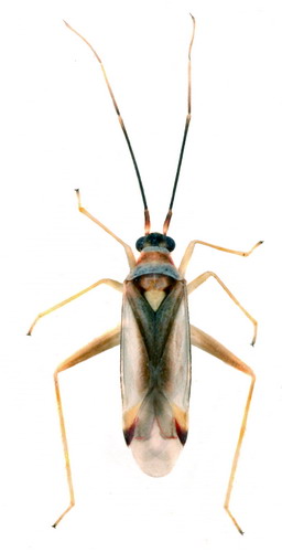
Campyloneura virgula

Næste art

 



Biologi:
Primo juli - ultimo september. Overvintrer som æg. Én generation om året. Både nymfer og imagines lever af dyrisk kost. Helt specielt for denne art er, at den formerer sig ved jomfrufødsel (partenogenese). Kun hunner forekommer i Danmark og det meste af Europa.

Levested:
Lever i skovbryn, skovlysninger o.lign. steder. Træffes først og fremmest på ask (Fraxinus excelsior), men kan også findes på en lang række andre løvtræer. Findes desuden af og til på Rhododendron, hvor den kan træffes i selskab med Tupiocoris rhododendri.

Udbredelse:
Udbredt og almindelig i hele landet. Tidligere havde arten en mere udpræget sydøstlig udbredelse i Danmark. Eneste art i slægten Campyloneura. (T,S,N,F,E,H,P)

Dansk navn:  - 
 


Imago   -   © L. Skipper Imago   -   © L. Skipper Imago   -   © L. Skipper
Imago Imago
Imago   -   © R. Ahlburg Imago   -   © W. Meng Imago   -   © L. Skipper
Imago   -   © L. Skipper Imago (immatur)   -   © L. Skipper Nymfe   -   © L. Skipper
Nymfe
Nymfe   -   © L. Skipper Nymfe   -   © L. Skipper Nymfe   -   © W. Meng
Værtsplante: Ask    
Ask (Fraxinus excelsior)
© L. Skipper