Til forside
 
Forrige art

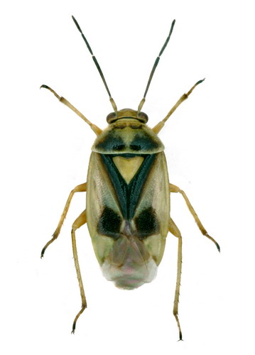
Orthops campestris

Næste art

 



Biologi:
Overvintrer som Imago - i Sverige også som æg. Overvintring og livscyklus svarer til O. basalis. Én generation om året. Føden består overvejende af plantekost.

Levested:
Træffes i vejkanter, haver, langs skovbryn, på tilgroede overdrev etc. Her lever den på forskellige arter i skærmplantefamilien (Apiaceae), bl.a. angelik (Angelica sylvestris), pastinak (Pastinaca sativa) og gulerod (Daucus)

Udbredelse:
Udbredt og almindeligt forekommende over hele landet. (T,S,N,F,E,H,P,B)

Dansk navn: Skærmplantetæge 
 


Imago
Imago   -   © L. Skipper Imago   -   © L. Skipper Imago   -   © W. Meng
Imago: Farvevariant
Imago   -   © L. Skipper Imago (immatur)   -   © L. Skipper Imago   -   © W. Meng
Nymfe Nymfehud (exuvie)
Nymfe   -   © L. Skipper Nymfe   -   © W. Meng Exuvie (nymfehud)   -   © L. Skipper
Værtsplante: Vild kørvel  
Typisk biotop   -   © L. Skipper Vil kørvel (Anthriscus sylvestris)
© L. Skipper