Til forside
 
Forrige art

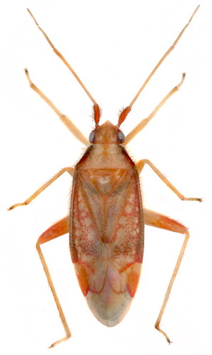
Pseudoloxops coccineus

Næste art

 



Biologi:
Medio juli - ultimo august. Overvintrer som æg. Én generation om året. Føden består overvejende af dyrisk kost.

Levested:
Træffes ved gårde, langs veje, i skovbryn m.v. Lever på ask (Fraxinus excelsior), især på store fritstående træer med god frugtsætning.

Udbredelse:
Temmelig sjælden, men fundet i de fleste distrikter. (T,S,N,F,E,H,P,B)

Dansk navn:  - 
 


Imago   -   © L. Skipper Nymfe   -   © L. Skipper Typisk biotop   -   © L. Skipper
Værtsplante: Ask    
Ask (Fraxinus excelsior)   -   © L. Skipper