Til forside
 
 

 



Biologi:
Ultimo maj - ultimo juni. En af de få arter, som ofte når imagostadiet allerede i slutningen af maj. Dukker op på eg omtrent samtidig med Dryophilocoris flavoquadrimaculatusm men lidt senere end den meget tidlige Harpocera thoracica. Overvintrer som æg. Én generation om året. Føden består af overvejende af plantekost.

Levested:
Træffes i skovbryn, skovlysninger, parker m.v. Her lever den på eg (Quercus), som regel i selskab med flere andre arter af blomstertæger.

Udbredelse:
Temmelig almindelig i hele landet. (T,S,N,F,E,H,P,B)

Dansk navn:  - 
 


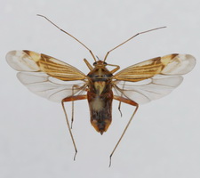
Imago
Imago   -   © L. Skipper Imago   -   © L. Skipper Imago   -   © W. Meng
Imago   -   © L. Skipper Imago   -   © L. Skipper Imago (scutellum)   -   © L. Skipper
Imago (immatur)   -   © L. Skipper Nymfe   -   © L. Skipper Nymfe   -   © L. Skipper
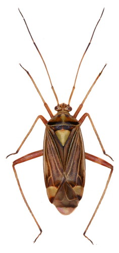
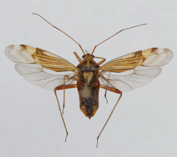
Nymfe Udspilet individ
Nymfe   -   © W. Meng Nymfe (parasitteret)   -   © L. Skipper Udspilet individ   -   © L. Skipper
Nymfehud (exuvie) Værtsplante: Eg
Exuvie (nymfehud)   -   © L. Skipper Typisk biotop   -   © L. Skipper Stilk-eg (Quercus robur)
© L. Skipper

Indmeldte fund på www.fugleognatur.dk

 

  NB: De angivne forekomster er ikke nødvendigvis validerede