Til forside
 
Forrige art

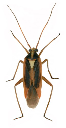
Stenotus binotatus

Næste art

 

Han Hun


Biologi:
Medio juni - medio august. Overvintrer som æg. Én generation om året. Føden består af plantekost.

Levested:
Forekommer på tørre enge og overdrev, i vejkanter, skovbryn m.v. En lang række græsser (Poaceae) benyttes som værtsplanter, bl.a. rottehale (Phleum), kvik (Elytrigia) og hundegræs (Dactylis).

Udbredelse:
Udbredt og almindelig i det meste af landet. (T,S,N,F,E,H,P,B)

Dansk navn:  - 
 


Imago: Han
Imago    -   © L. Skipper Imago    -   © L. Skipper Imago    -   © L. Skipper
Imago: Hun
Imago (scutellum)  -   © L. Skipper Imago    -   © L. Skipper Imago    -   © W. Meng
Imago    -   © L. Skipper Imago    -   © L. Skipper Nymfe   -   © L. Skipper
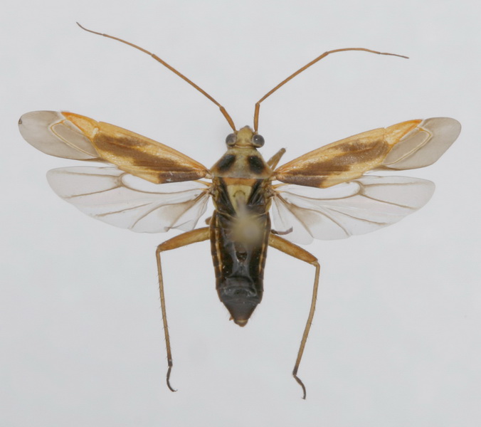
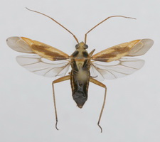
Udspilet individ: Han Nymfehud (exuvie)
Nymfe (med mider)  -   © L. Skipper Udspilet individ (♂)    -   © L. Skipper Exuvie (nymfehud)   -   © L. Skipper
Typisk biotop: Nordby Bakker, Samsø (EJ)    
Typisk biotop   -   © L. Skipper