Til forside
 
Forrige art

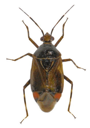
Deraeocoris flavilinea

Næste art

 



Biologi:
Primo juli - medio august. Overvintrer som æg. Én generation om året. Føden består af dyrisk kost

Levested:
Lever i skovbryn, levende hegn, parker, haver m.v. Blandt de mange værtsplanter kan nævnes lind (Tilia), ask (Fraxinus excelsior), hassel (Corylus avellana), slåen (Prunus spinosa) og ahorn (Acer pseudoplatanus).

Udbredelse:
Fundet som ny art for Danmark i 2006 ved Kasted Mose (EJ) (L. skipper). Her få år efter er den allerede udbredt og temmelig almindelig i det østlige og sydlige Danmark. Endnu ikke meldt fra Vestjylland eller nord for Limfjorden. Indtil for få årtier siden blev arten betragtet som endemisk for Sicilien. (T,S,E,H)

Dansk navn:  - 
 


Imago   -   © L. Skipper Imago   -   © L. Skipper Imago   -   © L. Skipper
Imago
Imago   -   © L. Skipper Imago   -   © W. Meng Imago   -   © L. Skipper
Imago (scutellum)   -   © L. Skipper Nymfe   -   © L. Skipper Nymfe   -   © L. Skipper
Nymfe Typisk biotop: Svenstrup Gods (NEZ)
Nymfe   -   © W. Meng Nymfe   -   © L. Skipper Typisk biotop   -   © L. Skipper