Til forside
 
Forrige art

Notostira elongata

Næste art

 

Han Hun


Biologi:
Som noget helt specielt for danske blomstertæger gælder det, at overvintringen hos de to Notostira-arter foregår i ægstadiet for hannernes vedkommende og i imagostadiet for hunnernes vedkommende. To generationer om året. Voksne dyr af den første nye generation dukker op i begyndelsen af juli, og den næste generation når imagostadiet i slutningen af august. Sidst på efteråret dør hannerne, og hunnerne opsøger et passende overvintringssted, f.eks. vissent græs i skovbryn. Føden består af plantekost.

Levested:
Træffes på tørre steder domineret af græsser. Værtsplanter udgøres af en lang række græsarter, heriblandt arter af svingel (Festuca), rapgræs (Poa) og hvene (Agrostis).

Udbredelse:
Udbredt og almindelig overalt i landet. (T,S,N,F,E,H,P,B)

Dansk navn: Tofaset græstæge 
 


Imago: Han
Imago   -   © L. Skipper Imago   -   © L. Skipper Imago   -   © L. Skipper
Imago    -   © L. Skipper Imago    -   © L. Skipper Imago    -   © L. Skipper
Imago: Hun - efterårsgeneration
Imago    -   © W. Meng Imago    -   © W. Meng Imago (scutellum)   -   © L. Skipper
Nymfe
Parring   -   © L. Skipper Nymfe   -   © L. Skipper Nymfe   -   © W. Meng
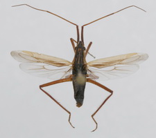
Udspilet individ: Han
Nymfe   -   © L. Skipper Nymfe   -   © L. Skipper Udspilet individ   -   © L. Skipper
Udspilet individ: Hun Nymfehud (exuvie) Typisk biotop: Klode Mølle (WJ)
Udspilet individ   -   © L. Skipper Exuvie (nymfehud)   -   © L. Skipper Typisk biotop   -   © L. Skipper