Til forside
 
Forrige art

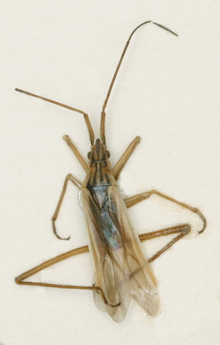
Notostira erratica

Næste art

 



Biologi:
Overvintringen for denne art er, ligesom hos slægtningen N. elongata, helt speciel, idet hannerne overvintrer i ægstadiet, og hunnerne overvintrer i imagostadiet. Årscyklus og føde ligesom hos N. elongata, se denne.

Levested:
Forekommer på tørre græsdominerede områder, hvor den lever på diverse græsser, bl.a. rørhvene (Calamagrostis) og rævehale (Alopecurus).

Udbredelse:
Meget sjælden. Kun kendt fra to danske fund: Silkeborg (EJ) (A.C. Jensen-Haarup - 1911) og Tisvilde (NEZ) (finder uvis - 1912). Det kan dog ikke udelukkes, at samlingerne i især København rummer individer af denne art, da de to arter i slægten tidligere har været sammenblandet. (T,S,N,F,E,P,B)

Dansk navn:  - 
 


Imago: Præpareret individ    
Præpareret    -   © L. Skipper