Til forside
 
Forrige art

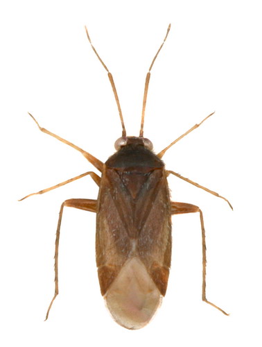
Phoenicocoris obscurellus

Næste art

 

Han Hun


Biologi:
Medio juni - ultimo august. Overvintrer som æg. Én generation om året. Føden består af plantekost, muligvis suppleret med dyrisk kost.

Levested:
Træffes i hedeplantager, læhegn, skovbryn etc. Lever på arter af fyr (Pinus), såvel skov-fyr (P. sylvestris) som bjerg-fyr (P. mugo).

Udbredelse:
Udbredt og temmelig almindelig i det meste af landet. (T,S,N,F,E,H,P,B)

Dansk navn:  - 
 


Imago   -   © L. Skipper Imago   -   © L. Skipper Imago (immatur)   -   © L. Skipper
Typisk biotop: Sønderland, Rømø (SJ)  
Nymfe   -   © L. Skipper Typisk biotop   -   © L. Skipper