Til forside
 
Forrige art

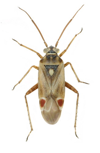
Polymerus vulneratus

Næste art

 



Biologi:
Medio juni - medio september. Overvintrer som æg. I hvert fald visse år to generationer. Føden består af plantekost.

Levested:
Lever på tørre og solrige områder, bl.a. strandoverdrev, hvor den især træffes på gul snerre (Galium verum).

Udbredelse:
Angivet af Gaun (1974) som ”ikke ualmindelig, men ret stedegen” og tidligere kendt fra spredte fund over store dele af landet, bl.a. Skagen (NEJ), Århus (EJ), Flyvesandet ved Agernæs (F), Ulvshale (LFM) og Tisvilde (NEZ). I skrivende stund er Flyvesandet ved Agernæs den eneste kendte recente bestand. Arten er indsamlet ved Liseleje (NEZ) i 1972 (K. Schnack) og ved Asserbo (NEZ) ligeledes i 1972 - og igen i 1979 (hhv. K. Schnack og K. Pedersen). Arten er eftersøgt flere steder langs nordkysten af Sjælland, af forfatteren i 2011, men uden held. Det er dog meget tænkeligt, at den stadig findes her. Rødlistet i Norge, på De Britiske Øer og i Estland. (T,S,N,F,E,H,P,B)

Dansk navn:  - 
 


Imago   -   © L. Skipper Imago   -   © L. Skipper Imago   -   © L. Skipper
Typisk biotop: Flyvesandet, Agernæs (F)
Imago (renser bagben)   -   © L. Skipper Nymfe   -   © L. Skipper Typisk biotop   -   © L. Skipper
   
Gul snerre (Galium verum)
© L. Skipper