Til forside
 
Forrige art

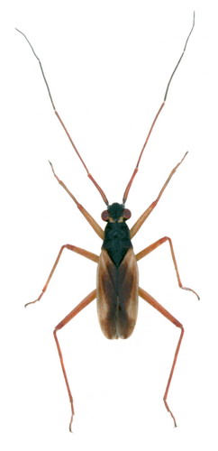
Teratocoris antennatus

Næste art

 

Han Hun


Biologi:
Medio juni - medio august. Overvintrer som æg. Én generation om året. Føden består af såvel plantekost som dyrisk kost.

Levested:
Arten forekommer langt overvejende på kystnære, fugtige og græsrige lokaliteter Den er karakterart for rørsumpe, især strandrørsumpe af tagrør (Phragmites australis) eller strandkogleaks (Bolboschoenus maritimus).

Udbredelse:
Hist og her langs kysten i det meste af landet. Træffes kun sjældent på indlandslokaliteter. Rødlistet i Tyskland. (T,S,N,F,E,H,P,B)

Dansk navn:  - 
 


Imago    -   © L. Skipper Imago    -   © L. Skipper Imago    -   © L. Skipper
Imago    -   © L. Skipper Imago    -   © L. Skipper Imago   -   © L. Skipper
Typisk biotop: Norsminde Fjord (EJ)
Parring   -   © L. Skipper Nymfe   -   © L. Skipper Typisk biotop   -   © L. Skipper