Til forside
 
Forrige art

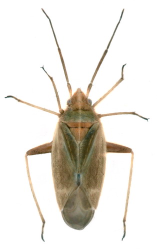
Amblytylus nasutus

Næste art

 



Biologi:
Primo juni - primo august. Overvintrer som æg. Én generation om året. Føden består af plantekost.

Levested:
Lever på tørre til halvfugtige græsbevoksede områder. Mindre kræsen mht. valg af værtsplante end de øvrige danske arter i slægten. Værtsplanterne udgøres af forskellige græsser, bl.a. eng-rapgræs (Poa pratensis) samt arter af hvene (Agrostis).

Udbredelse:
Almindelig i størstedelen af landet, dog ret sjælden i det nordlige Jylland. Den almindeligste danske art i slægten og tilsyneladende i fremgang de seneste årtier. Ofte talrig på lokaliteten. (T,S,F,E,H,P,B)

Dansk navn:  - 
 


Imago   -    © L. Skipper Imago   -    © L. Skipper Imago   -    © L. Skipper
Imago: Hun Imago: Han
Imago   -    © L. Skipper Imago   -   © R. Ahlburg Imago   -   © W. Meng
Udspilet individ
Imago (scutellum)  -   © L. Skipper Nymfe   -   © L. Skipper Udspilet individ   -   © L. Skipper
Nymfehud (exuvie) Typisk biotop: Marie Magdalene (EJ)  
Exuvie (nymfehud)   -   © L. Skipper Typisk biotop   -   © L. Skipper