Til forside
 
Forrige art

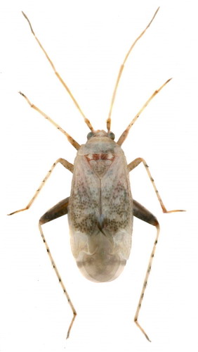
Compsidolon salicellum

Næste art

 



Biologi:
Medio juli - medio september. Overvintrer som æg. Én generation om året. Føden består af plantekost muligvis suppleret med dyrisk kost.

Levested:
Findes i skovbryn, skovlysninger, hegn m.v. Træffes hovedsageligt på hassel (Corylus avellana), sjældnere pil (Salix) eller brombær m.fl. (Rubus). Fra Tyskland nævnes desuden gedeblad (Lonicera) og flere arter af løvtræer som værtsplanter.

Udbredelse:
Forekommer hist og her i det meste af landet. (T,S,N,F,E,H,P,B)

Dansk navn:  - 
 


Imago
Imago   -   © L. Skipper Imago   -   © L. Skipper Imago   -   © W. Meng
Imago   -   © L. Skipper Imago   -   © L. Skipper Imago   -   © L. Skipper
Nymfehud (exuvie)  
Nymfe   -   © L. Skipper Exuvie (nymfehud)   -   © L. Skipper