Til forside
 
Forrige art

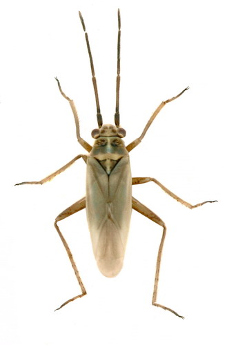
Conostethus griseus

Næste art

 



Biologi:
Medio juni - medio juli. Overvintrer som æg. Én generation om året. Føden består af plantekost.

Levested:
Kystbunden art, der kan træffes på diverse salttolerante plantearter (halofytter), såsom annelgræs (Puccinellia), strand-vejbred (Plantago maritima), hindebæger (Limonium), strand-asters (Aster tripolium) og strandgåsefod (Suaeda maritima). Karakterart for strandenge.

Udbredelse:
Udbredt hist og her langs kysterne i det meste af landet. Ikke kendt fra det øvrige Norden. Rødlistet i Tyskland. Forekommer i Europa primært langs kysten fra Nordskandinavien til den Iberiske Halvø. Træffes i indlandet i bl.a. Tyskland især på saltpåvirkede lokaliteter. (T,E,H)

Dansk navn:  - 
 


Imago    -   © L. Skipper Imago    -   © L. Skipper Imago   -   © L. Skipper
Imago (scutellum)   -   © L. Skipper Nymfe   -   © L. Skipper Nymfe   -   © L. Skipper
Typisk biotop: Rømødæmningen (SJ)    
Typisk biotop   -   © L. Skipper